$59,000

Lot Highway 201

Moschelle Nova Scotia B0S 1A0

Vacant Land
MLS® 202603568
Listing Courtesy of RE/MAX Banner Real Estate(Annapolis Royal)

Description

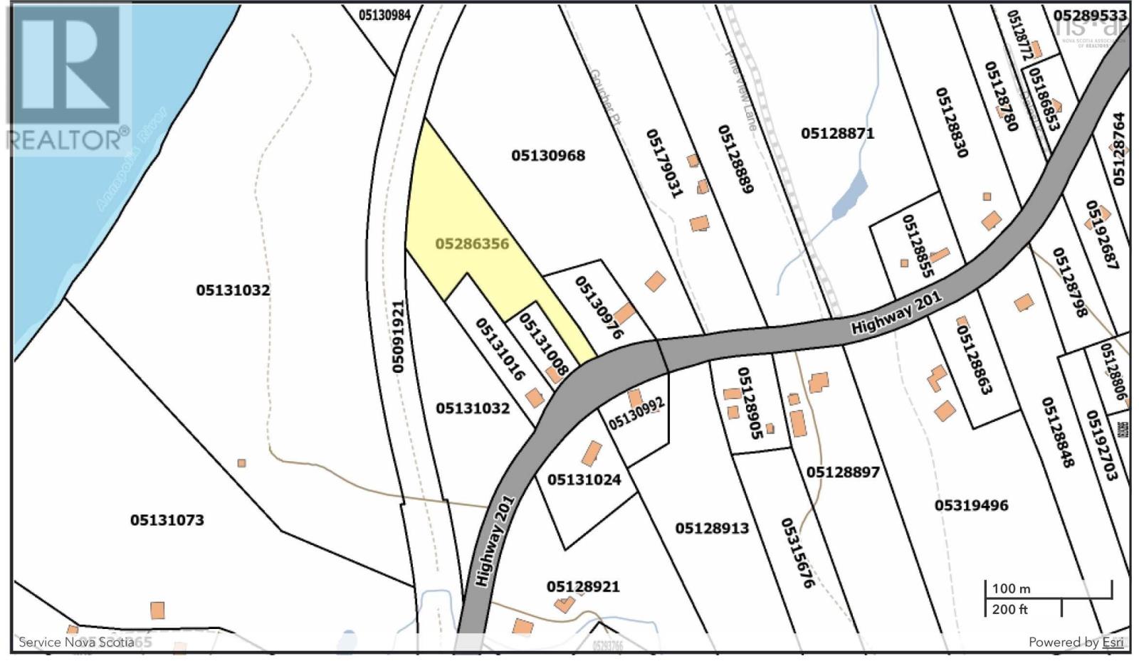
This 2.3-acre parcel offers a balanced mix of open field and mature trees, with cleared space suitable for development and a natural tree line that provides privacy. The northwest-facing orientation captures evening light, with views across the Harvest Moon Trail toward an established apple orchard. Zoned Mixed Use, the property allows flexibility for residential, small-scale agricultural, or live/work uses. It is a setting that can adapt as your plans evolve. The land directly abuts the Harvest Moon Trail, creating a rare connection between rural space and town life. Follow the scenic route into Annapolis Royal for coffee, the renowned farmers market, galleries, waterfront walks, and evening performances at Kings Theatre, all within easy reach. Located along Highway 201 in Moschelle, just minutes from Annapolis Royal, this parcel brings together open land, orchard views, sunset exposure, mixed-use zoning, and direct trail access in one cohesive offering. The seller believes the lot may be larger than the recorded size; however, no survey is available, and the property is being sold as described. (id:56844)

ID:
202603568
Category:
Vacant Land
Status:
Active
Lot:
2.3 acres
MLS® Number:
202603568
Common Interest
Freehold
Parcel Number:
05286356
Community Name:
Moschelle
Days On Market:
45
Lot Features
  • Treed
  • Partially cleared
Parking Features:
  • Other
Water Source:
  • None
Sewer:
  • No sewage system
The property is accessed from a public offshoot of Highway 201. The offshoot serves 3 properties.
Neighbourhood map for property at Lot Highway 201
Lot Highway 201 Moschelle
Provincial Map showing Lot Highway 201
Lot Highway 201 Moschelle

Inquire Today

Name is required.
Phone is required.
Valid email is required.
Message is required.
Please complete the captcha.
Powered By Realtor logo MLS® Listing data is provided by The Canadian Real Estate Association (CREA) and is deemed reliable but not guaranteed. The trademarks REALTOR®, REALTORS®, and the REALTOR® logo are controlled by CREA and identify real estate professionals who are members of CREA. The trademarks MLS®, Multiple Listing Service® and related logos are owned by CREA and identify the quality of services provided by real estate professionals who are members of CREA. Listing information is provided by participating real estate brokerages.

Similar Listings