Description
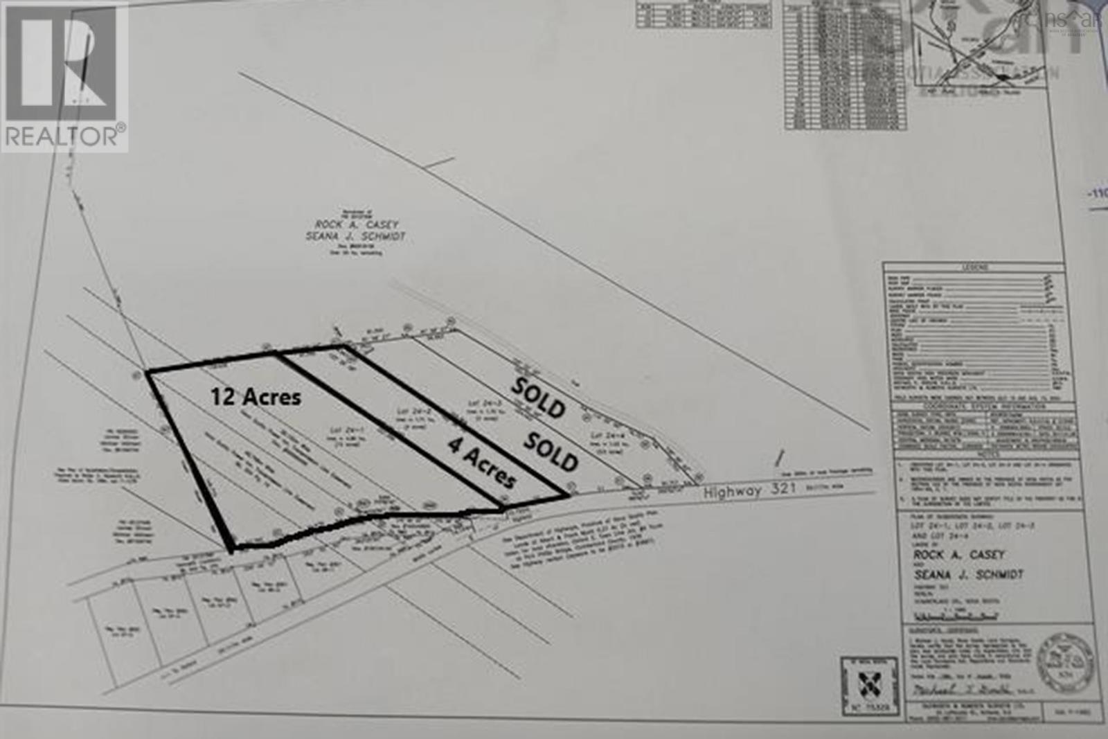
Hello buyers in Cumberland County! If you are looking for a property in the country, close to Rail Trail and minutes from amenities in the Town of Oxford, this could be the perfect property for you. These two parcels of land can be purchased together or separately. The largest parcel is 12.0 acres and intentionally created to be that size as this property has the overhead power lines running through it and a right of way for Nova Scotia Power. It is priced the same as the adjacent 4.22 acre parcel, $20,000 + HST. Natural gas lines are an option for hook up, the driveway location approvals are marked for both lots, and you would be in a great area for hunting, fishing or simply relaxing to enjoy the peace & quiet that this location provides. If you are interested take a drive out to Roslin and check this opportunity out. (id:56844)
- ID:
- 202527622
- Category:
- Vacant Land
- Status:
- Active
- Lot:
- 16.2348 acres
- MLS® Number:
- 202527622
- Common Interest
- Freehold
- Parcel Number:
- 25519125
- Community Name:
- Roslin
- Days On Market:
- 65
- Hardwood bush
- Softwood bush
- None
- None
- No sewage system