$89,500

Cheticamp Island Road

Chéticamp Island Nova Scotia B0E 1H0

Vacant Land
MLS® 202510839
Listing Courtesy of Cape Breton Realty (Port Hawkesbury)

Description

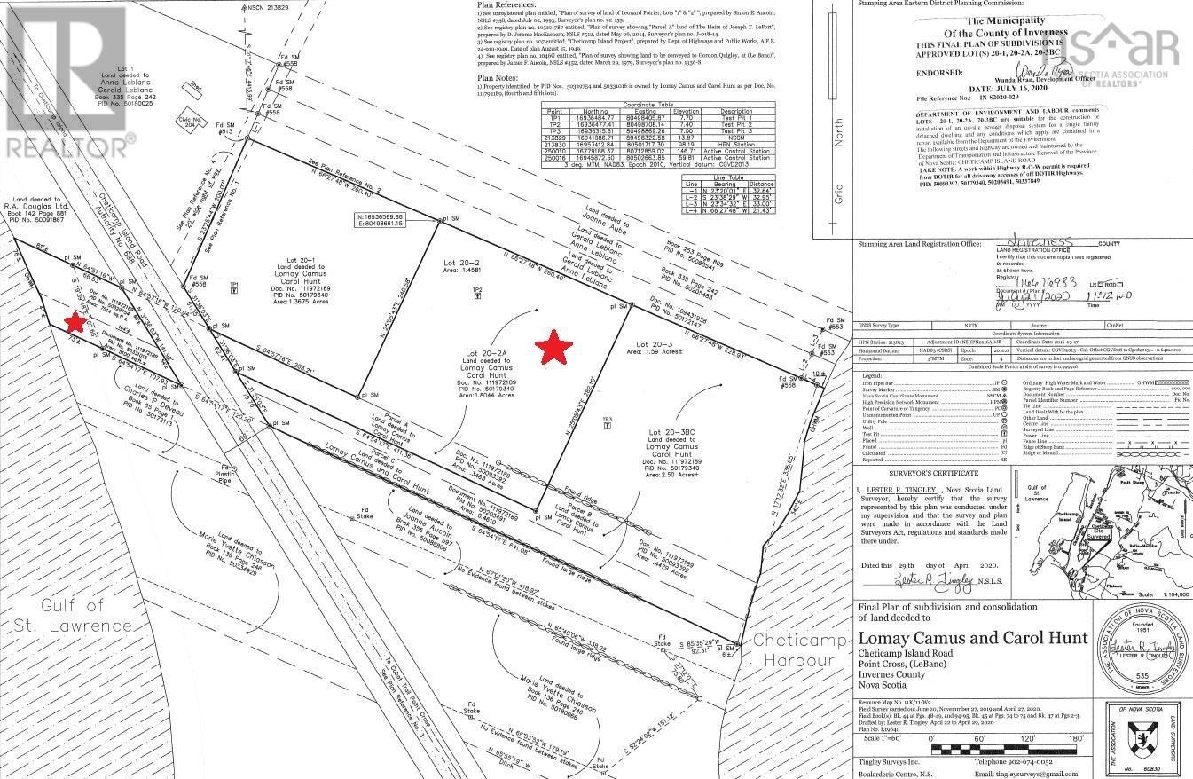
Discover two remarkable parcels of land offering endless potential in one of Cape Bretons most scenic locations. The first parcel presents a prime building lot with stunning views of the harbour and mountains, and with the right design, you could even capture breathtaking ocean vistas. The second, smaller ocean front lot, although not ideal for building, is a dream spot for coastal getaways. Imagine setting up an RV, pitching a tent for seaside camping or creating a serene retreat with a picnic table or gazebo - perfect for family gatherings right by the beach. Opportunities like this are rare. Just imagine the pride of owning ocean front land with direct beach access on beloved Cheticamp Island, a destination cherished by both locals and visitors. Whether youre looking to build, relax or invest, this unique package offers exceptional value and lifestyle. Please note that HST will be applicable over and above the purchase price. (id:56844)

ID:
202510839
Category:
Vacant Land
Status:
Active
Lot:
1.8803 acres
MLS® Number:
202510839
Common Interest
Freehold
Parcel Number:
50093392
Community Name:
Chéticamp Island
Days On Market:
337
View
  • Ocean view
  • Harbour
Lot Features
  • Level lot
Water Front Features
  • Waterfront on ocean
Parking Features:
  • None
Water Source:
  • None
Sewer:
  • No sewage system
Turn onto Cheticamp Island, drive approximately 1km to the property on the right. Look for brokerage sign.
Neighbourhood map for property at Cheticamp Island Road
Cheticamp Island Road Chéticamp Island
Provincial Map showing Cheticamp Island Road
Cheticamp Island Road Chéticamp Island

Inquire Today

Name is required.
Phone is required.
Valid email is required.
Message is required.
Please complete the captcha.
Powered By Realtor logo MLS® Listing data is provided by The Canadian Real Estate Association (CREA) and is deemed reliable but not guaranteed. The trademarks REALTOR®, REALTORS®, and the REALTOR® logo are controlled by CREA and identify real estate professionals who are members of CREA. The trademarks MLS®, Multiple Listing Service® and related logos are owned by CREA and identify the quality of services provided by real estate professionals who are members of CREA. Listing information is provided by participating real estate brokerages.

Similar Listings